Продается участок Сумская, Сумы, Ковпаковский, Роменська кінцева (№ 26-158-911)
Цена: 25 000 $

Характеристики
| Цена: | 25 000 $ |
|---|---|
| № объекта: | 26-158-911 |
| Назначение: | под жилую застройку |
| Площадь: | 9 сот |
| Дополнительно: | вода, электричество, есть пути подъезда |
Адрес: Сумская, Сумы, Ковпаковский, Роменська кінцева
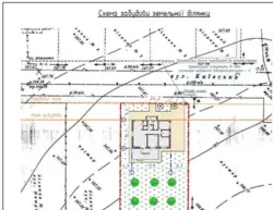
Продам земельну ділянку 9 соток (0.09 га).
Локація: 200 метрів від кінцевої зупинки (маршруту/транспорту) на вулиці Роменській. Вулиця вже забудована та жила.
Комунікації та забудова:
* Фундамент під будинок (площа 100 м²). Проєкт будинку в наявності.
* Електрика: 5 кВт, встановлений лічильник.
* Вода: Централізоване водопостачання по кооперативу, встановлений лічильник, заведено.
* Каналізація: Септик (2 колодязі), заведено.
* Додатково: Є будівельна будка (вагончик).




